Купить земельный участок на улице имени Геннадия Гурьянова в Микрорайоне Южная долина в Краснодарском крае
Россия, Краснодарский край, городской округ Новороссийск, станица Натухаевская, микрорайон Южная долина, улица имени Геннадия Гурьянова
6 сот
Площадь участка
Индивидуальное жилищное строительство
Статус участка
Описание
● Площадь участка - 6 сот.
● Категория земли - ИЖС
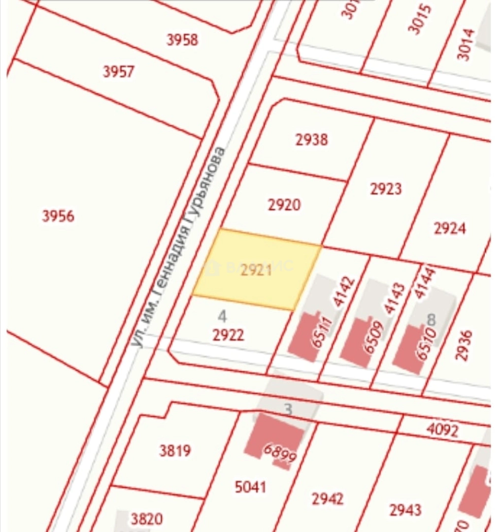
● Кадастровый номер - 23:47:0104007:2921
⇧ Подъезд к участку - щебенка
▸ Коммуникации:
▸ Электричество - 15 кВт
➡ Описание:
Ваш идеальный дом может начать свою историю именно здесь!
Полностью подготовленный к строительству участок с безупречной документацией — это ваш шанс создать дом мечты в окружении природы.
Почему именно этот участок?
Статус ИЖС гарантирует возможность регистрации и прописки в будущем доме
Полная юридическая чистота: межевание проведено, адрес присвоен, разрешение на строительство в руках — никаких задержек с началом работ
Уникальное расположение:
Поблизости престижный гольф-клуб «Раевский»
Живописная река с отличной рыбалкой
Потрясающие природные пейзажи
Развивающаяся локация: активные соседи уже приступили к строительству, что гарантирует формирование комфортного жилого района
Ваши преимущества:
Возможность построить дом по собственному проекту
Благоустроенный район с перспективой развития
Экологически чистая зона
Удобные подъездные пути
Инфраструктура рядом
Инвестиционный потенциал:
Участок расположен в зоне активного развития. Близость к гольф-клубу и природным объектам делает его особенно привлекательным для инвестиций. Стоимость земли в этом районе имеет стабильный тренд к росту.
Не упустите шанс стать владельцем участка в одном из самых привлекательных мест для жизни!
➠ Местоположение:
В перспективе вся необходима инфраструктура будет в шаговой доступности от дома, а сейчас ближайшие магазины, аптеки, поликлиника, рынок, банкомат, школа, д/сад находятся в станице Натухаевской или в станице Раевской.
Для вас:
✦ Онлайн сделка.
✦ Юридическая проверка документов.
✦ Поможем с одобрением ипотеки на выгодных условиях от ведущих банков.
✦ Сделка - застрахована.
Проводим сделки:
✧ С использованием материнского капитала.
✧ Военного сертификата.
✧ С применением аккредитива и банковской ячейки.
✧ С вами работает персональный менеджер.
Метротека-Владис - глобальное видение, локальная экспертиза.
☎ ЗВОНИТЕ - показ в удобное для Вас время! своего владельца в одном из самых живописных уголков региона
Об участке
Площадь участка
6 сот.
Статус участка
Индивидуальное жилищное строительство
Электричество
Есть
Подъезд к участку
Щебенка
Расстояние от города
25 км
Расположение
Россия, Краснодарский край, городской округ Новороссийск, станица Натухаевская, микрорайон Южная долина, улица имени Геннадия Гурьянова
Ипотечный калькулятор
Заполните 1 анкету — получите предложения от десятков банков на специальных условиях
Программа ипотеки
Стоимость жилья, ₽
Первый взнос, ₽
Срок кредита
от 5.75%
Ставка
от 13 841 ₽
Платеж в месяц
Расчёт носит информационный характер и не является публичной офертой
Предложите свою цену
2 200 000 ₽
366 667 ₽/сот













