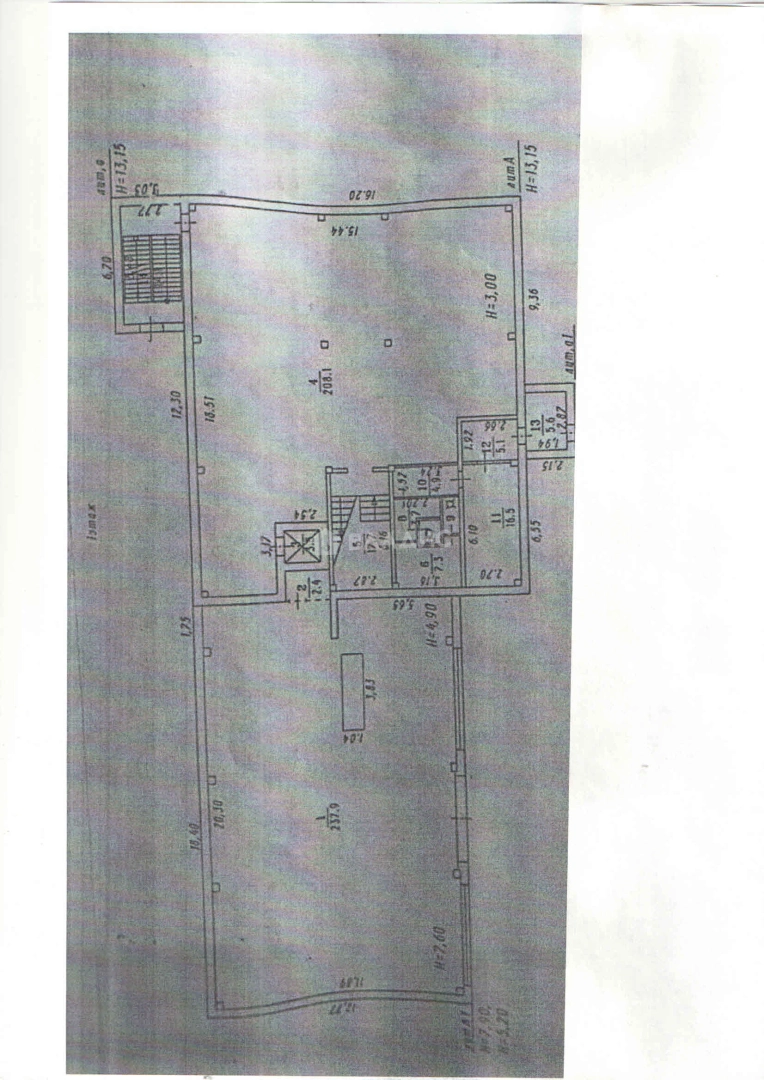
Продается Производственное Помещение, 2210.7 м²
Россия, Омск, 27-я Северная улица, 42А
2210.7 м²
Общая площадь
Отдельный
Вход в помещение
Свободный
Доступ в помещение
1 из 4
Этаж
Описание
Общая площадь здания 1410,7 кв.м: металлический склад-сетка, площадью 300 кв.м с кран-балкой 3 тн; металлический склад-сетка, площадью 500 кв.м.
В здание заведены центральные водопровод и канализация, электроэнергия 100 кВт, природный газ. Установлены четыре газовых котла. Хорошее месторасположение, отличная транспортная доступность. Возможно использовать под складскую или различную производственную деятельность.
Об объекте
Общая площадь
2210.7 м²
Этаж
1
Электрическая мощность
100 кВт
Раздельных санузлов
1
Ремонт
Без отделки
Вход в помещение
Отдельный
Доступ в помещение
Свободный
Удобства
Без оборудования
О здании
Тип коммерции
Складское помещение
Год постройки
1985
Материал постройки
Кирпично-монолитный
Отопление
Своя котельная
Этажей в доме
4
Грузовых лифтов
1
Парковка
Наземная
Расположение
Россия, Омск, 27-я Северная улица, 42А
Ипотечный калькулятор
Заполните 1 анкету — получите предложения от десятков банков на специальных условиях
Программа ипотеки
Стоимость жилья, ₽
Первый взнос, ₽
Срок кредита
от 5.75%
Ставка
от 440 375 ₽
Платеж в месяц
Расчёт носит информационный характер и не является публичной офертой
Предложите свою цену
70 000 000 ₽
31 664 ₽/м²



















