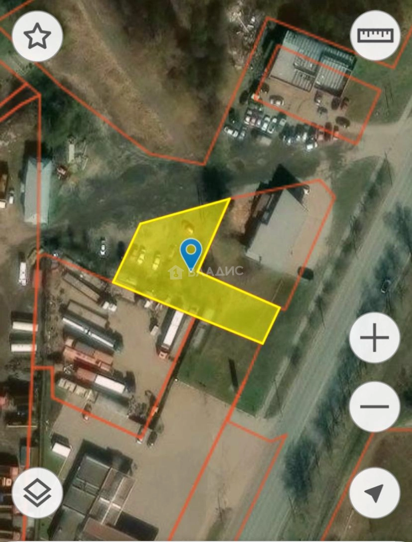
Купить земельный участок на улице Чернышевского в Вологде
Россия, Вологда, улица Чернышевского
10 сот
Площадь участка
Промназначения
Статус участка
Описание
📍 Кадастровый номер: 35:24:0304001:3665
📏 Площадь: 10 соток
💰 Аренда оплачена до декабря 2026 года
Разрешенное использование:
🚗 Автосервис, автомойка, СТО, заправка
🏢 Склады, гаражи, административные здания
Коммуникации на участке:
⚡ Электричество (15 кВт, оплачено)
💧 Водоснабжение и канализация
🔹 Готовый бизнес или перспективное вложение
🔹 Выгодное расположение с удобным подъездом
📞 Звоните для деталей и просмотра!
Об участке
Площадь участка
10 сот.
Статус участка
Промназначения
Электричество
Есть
Водоснабжение
Есть
Подъезд к участку
Асфальт
Расстояние от города
5 км
Расположение
Россия, Вологда, улица Чернышевского
Ипотечный калькулятор
Заполните 1 анкету — получите предложения от десятков банков на специальных условиях
Программа ипотеки
Стоимость жилья, ₽
Первый взнос, ₽
Срок кредита
от 5.75%
Ставка
от 23 907 ₽
Платеж в месяц
Расчёт носит информационный характер и не является публичной офертой
Предложите свою цену
3 800 000 ₽
380 000 ₽/сот








