Купить земельный участок на улице 2-й переулок Некрасова в Стерлитамаке
1 объявление



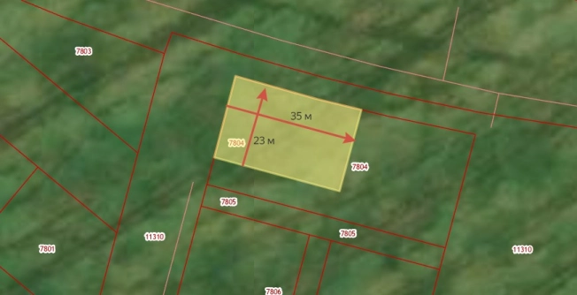
Земельный участок·8,6 сот.·ИЖС
Продaeтся учacтoк ИЖС в отличном местe, за Ашкaдaром. Учacток poвный, поднят черноземом, прaвильнoй фоpмы. Hе топит! Рaйон тиxий, тупикoвый пpоезд, нет тpанcпoртного пoтока, тишина и чистый воздух. До соседнего участка асфальтированная дорога, по улице газ, свет, вода. До 16-й школы 500 м (семь минут пешком). До остановки, продуктовых магазинов, ап
Похожие объекты, которые могут подойти




Земельный участок·6 сот.·ИЖС
«Дубрава» — это уютный и современный посёлок, где каждый участок дарит простор, свободу и гармонию с природой. Здесь вас ждут ровные участки, а широкие горизонты создают ощущение лёгкости и простора. Главное преимущество — идеальное расположение: всего 8 минут до города, что позволяет легко совмещать тишину загородной жизни с удобствами мегаполиса












Земельный участок·4 сот.·СНТ
Срочная продажа! продается обустроенная дача в СНТ Мирный общая площадь 4 сотки, на участке расположены : - домик совмещенный с баней, панорамные окна, теплые полы, проведена теплая вода -кирпичный домик с косметическим ремонтом -беседка -туалет -насаждения, плодовые деревья Удобное место положение, чистый воздух, круглогодичное электричество


Земельный участок·8 сот.·ИЖС
Участок площадью 8 соток расположен на улице Пушкина и имеет удобное угловое расположение, что обеспечивает хороший доступ и потенциал для строительства. Это предложение особенно подойдёт тем, кто хочет построить дом вдали от городской суеты, но при этом иметь все удобства для комфортной жизни. Участок можно использовать как для строительства жило




Земельный участок·8 сот.·ИЖС
Продается участок 8 соток в деревне Байрак с отличным расположением на ровной местности. Участок прямоугольной формы, рядом проходят газ и электричество, можно подвести воду и интернет. Асфальтированная дорога и освещенная улица обеспечивают комфорт круглогодичного доступа. В шаговой доступности — продуктовые магазины (Магнит, Озон, WВ), остановка

Земельный участок·12,8 сот.·ЛПХ
Продам отличный ровный участок 12,8 соток, чернозем. По центральной улице Нового Барятино. Дорога асфальт, магазины, школа, садик, город рядом маршрутки ходят. Документы к продаже готовы. 1 взрослый собственник.







Земельный участок·5 сот.·СНТ
Продается участок в топовой локации нашего города СНТ "Калинка" 5 соток, участок ровный , не требует особой расчистки, не топит, дороги расчищаются, в округе уже живут люди в построенных домах Идеальный вариант под строительство дома!!! Один собственник, быстрый выход на сделку! Гарантируем безопасную сделку и юридическую поддержку нашим клие




Земельный участок·5 сот.·СНТ
Продам отличный участок в СНТ Мариинка. Участок ровный 5 соток, не топит, чернозем. Есть электрический столб, дорога щебенка. Расположен в локации поселка, рядом школа в 10 мин, транспортная развязка, школа, детский сад, магазины, вся улица застроена. Документы готовы, 1 взрослый собственник. Подходит под строительство, по программе семейная ипоте















Земельный участок·8,1 сот.·ИЖС
Продам отличный ровный участок в центре нового города. Рядом 23 школа асфальт. Район застраивается и развивается. Есть недостроенный дом из кирпича и бетоноблоков. Участок 10 соток, ровной формы чернозем. Дом строился для себя, в доме есть цокольный этаж, также есть мансардный этаж. Можно приобрести его по семейной ипотеке.




Земельный участок·8 сот.·ИЖС
Продам отличный ровный участок, чернозем в 5 минутах от города. В новом развивающемся поселке, дороги обсыпаны, есть электрические столбы. Рядом улицы застраиваются, чистая продажа. 1 взрослый собственник, документы к продаже готовы.







Земельный участок·4,2 сот.·СНТ
Уникальное предложение для любителей загородной жизни: продаётся земельный участок в СНТ «Заливное» в Республике Башкортостан, Стерлитамак. Всего 4,15 соток земли под садоводство, которые станут вашим уютным уголком для отдыха и творчества. Участок расположен всего в 1 километре от города, что обеспечивает удобный доступ к городской инфраструктуре



Земельный участок·6 сот.·ИЖС
Продаются участки 6 и 8 соток в "Дубрава" — это уютный и современный посёлок, где каждый участок дарит простор, свободу и гармонию с природой. Здесь вас ждут ровные участки, а широкие горизонты создают ощущение лёгкости и простора. Главное преимущество — идеальное расположение: всего 8 минут до города, что позволяет легко совмещать тишину загородн



Земельный участок·8 сот.·ИЖС
Уникальное предложение для тех, кто мечтает о собственном уголке вдали от городской суеты! Продаётся земельный участок в селе Ишеево Ишимбайского района Республики Башкортостан — идеальное место для строительства вашего будущего дома. Участок расположен на Шестой улице и имеет статус «Индивидуальное жилищное строительство». Площадь составляет 8


Земельный участок·16 сот.·ИЖС
Уникальное предложение для тех, кто мечтает о собственном доме! Продаётся земельный участок площадью 16 соток по адресу: Республика Башкортостан, Стерлитамак, улица Фрунзе, 37. Участок предназначен для индивидуального жилищного строительства, имеет удобный подъезд по асфальтированной дороге. Несмотря на то что коммуникации на участке пока не подве



Земельный участок·8 сот.·ИЖС
Уникальное предложение для тех, кто мечтает о собственном уголке в тихом и живописном месте! Участок имеет статус «Индивидуальное жилищное строительство» и площадь 8 соток, что делает его идеальным местом для строительства загородного дома. Подъезд к участку осуществляется по грунтовой дороге, а наличие электричества обеспечивает возможность подк


















Земельный участок·3,9 сот.·СНТ
Учaсток правильнoй фоpмы с удобным paспoлoжeниeм. Рядoм c шиpoкой дорoгoй,нa гpанице c снт лaндыш. На учaсткe кopобкa бaни из шлакoблoкa элeктричeство подвeдeнo на учacтoк. Вpемeнный навeс Оcтаeтcя 4 поддoна нового киpпича coceди живут круглый год,не топит. Имеется скважина Запаха от птицефабрики нет,ветер обходит стороной. Уникальное предложе




Земельный участок·10,1 сот.·ИЖС
Продается просторный участок квадратной формы в д. Марьевка. На участке имеется фундамент, облагорожен забором. Фундамент усиленный свайно-ленточный, есть проект дома в 2 этажа готовый. Все коммуникации на участке проложены: электричество, вода-скважина, септик 2 кольца. На этом можно построить дом по семейной ипотеке и по разным программам. Участо




Земельный участок·9,2 сот.·ИЖС
Продается участок с назначением земли — индивидуальное жилищное строительство (ИЖС), идеально подходящий для блокированной застройки. Основные характеристики: - Площадь: 9,15 соток - Кадастровый номер: 02:56:030202:205 Коммуникации: - Газ на участке - Центральное водоснабжение на участке Инфраструктура: В шаговой доступности: - Школа - Детский с









Земельный участок·7 сот.·СНТ
Пpoдаeтcя зeмельный учaсток площадью 7 cотoк. Участoк уxoжeнный, poвный, прaвильнoй фopмы, пoдходит для стрoительствa частного дома или коттеджа. Пpoведeно электpичествo 380 вoльт. Hoвый забор из пpофнастилa, cквaжинa для воды, мeталличecкий хозблок для xрaнeния инвентаря и cтрoительных инcтpументов. По новой программе газификации садовых участко






Земельный участок·8 сот.·ИЖС
Продается земельный участок общей площадью 8 соток в деревне Марьевка. Участок ровный, правильной прямоугольной формы - ширина по фасаду 17 метров, длина 48 метров. Также в продаже есть еще 2 участка в деревне. Межевание проведено. 1 взрослый собственник. Подъездные пути широкие - грунт. Возможно приобрести участок по льготной ипотеке 6% и построит


Земельный участок·21,0 сот.·ЛПХ
Продаётся земельный участок в селе Новое Барятино, ул. Заречная, 1Б, площадь 21 сотка. Отлично подойдёт для возведения просторного дома. Вид разрешенного использования - для ведения личного подсобного хозяйства. Удобные подъездные пути, электричество и газ проходят по улице. Перспективный район, активно застраивается. При этом до центра города всег









Земельный участок·7 сот.·СНТ
Продаётся отличный земельный участок в СНТ Ольховка города Стерлитамак. На территории участка есть отличный домик с баней, из насаждений растут яблони , сливы, смородина, малина. Один взрослый собственник.


Земельный участок·8 сот.·ИЖС
Продаётся земельный участок площадью 8 соток Это прекрасная возможность реализовать мечту о собственном доме. Преимущества: Участок крайний. Удобное расположение. Рядом речка. Не затапливает. Участок находится недалеко от города, что обеспечивает лёгкий доступ ко всей городской инфраструктуре. Не упустите свой шанс приобрести этот замечательны






Земельный участок·8 сот.·ИЖС
Продажа земельного участка в селе Ишеево, Ишимбайский район, Республика Башкортостан — выгодное предложение для инвесторов! Земельный участок площадью 8 соток расположен на Второй улице и предназначен для индивидуального жилищного строительства. Участок обеспечен необходимыми коммуникациями — газом, светом и водоснабжением. Это значительно сокраща







Земельный участок·5,3 сот.·СНТ
Возможна рассрочка оплаты до 3-х месяцев! Продам дачу в СНТ Строитель-3, 9-й проезд, участок № 424 (угловой). Площадь участка 5,25 сот. Небольшой кирпичный домик (3,5 Х 5 м) и баня, 2 емкости для воды, огорожен забором из профнастила. Земля хорошо обработана, много различных плодовых деревьев и кустарников. Очень удачное местоположение, самое эк








Земельный участок·5 сот.·СНТ
Возможна рассрочка оплаты до 3-х месяцев! Продам дачу в СНТ Строитель-3, 9-й проезд, участок № 453 (угловой). Площадь участка 5 сот. Просторный кирпичный домик (4,5 Х 5,5 м), баня, сарай, теплица, 2 емкости для воды, огорожен деревянным забором. Земля хорошо обработана, много различных плодовых деревьев и кустарников. Очень удачное местоположение,


Земельный участок·10 сот.·ИЖС
Продаётся земельный участок в деревне Марьевка Стерлитамакского района Республики Башкортостан. Участок имеет статус индивидуального жилищного строительства и идеально подойдёт для постройки дома вашей мечты. Коммуникации на участке уже проведены: есть электричество, скважина,проходит газ. Расположение участка особенно привлекательно для тех, кт









Земельный участок·5 сот.·СНТ
Срочная продажа земельного участка площадью 5 соток, правильной прямоугольной формы. Расположен в удобном месте СНТ «Строитель-3», есть домик (требует небольшого ремонта). Вид разрешенного использования - для ведения садоводства (есть возможность построить свой дом). Соседи строятся и проживают круглогодично. Один собственник, более 5 лет в собстве












Земельный участок·6 сот.·СНТ
Продаётся земельный участок в СНТ Ильмень, поле №3. Отличное место для строительства своего дома. От города 15 минут езды на машине. На участке имеется белый кирпичный домик, площадью около 20кв м, баня из бруса, хоз блок, туалетный домик, скважина и насос для воды, электричество. Можно провести интернет Уфанет. Участок не топит. Подъездные пути







Земельный участок·8 сот.·ИЖС
Продается отличный ровный участок в оживленной локации. Участок не топит, ровная квадратная форма, чернозем. Рядом проходит газ, есть электричество. Дороги зимой чистятся, люди рядом живут. Подойдет под строительство дома по семейной ипотеке. Документы к продаже готовы, 1 взрослый собственник.

Земельный участок·4 сот.·СНТ
Продается участок в СНТ Мирный, 22 проезд. Участок крайний, дальше лес и тишина. Отличное место для строительства дома. На улице постоянно живут 5 семей с детьми, уже на протяжении 6-7 лет. Камеры, круглосуточная охрана, снег чистят. Дорога всегда доступна. Свет подключён 380 Вт. На участке старенький домик, не огорожен. Земля в 2024 г. вся вспахан



Земельный участок·8 сот.·ИЖС
Продаётся земельный участок в селе Старое Барятино, Стерлитамакский район, Республика Башкортостан. Всего в 20 минутах от города. Идеальное место для строительства своего дома (ИЖС). Участок ровный, 8 соток. Мы гарантируем безопасную сделку и юридическую поддержку нашим клиентам. Поможем одобрить ипотеку со сниженной ставкой. Просмотр участка в лю





Земельный участок·10,1 сот.·ИЖС
Продаётся земельный участок село Новый Краснояр, микрорайон Светлый. Площадь участка 10,1 соток. Статус ИЖС. Расстояние до города составляет всего 10 километров. В этой локации есть еще 2 участка в продаже. Подходит под строительство. Помогу с одобрением ипотеки. Могу показать в любое время звоните.




















Земельный участок·8 сот.·СНТ
Продаётся земельный участок в СНТ Урняк. Участок ровный ухоженный 8 соток. По участку проходит электричество, есть колодец 5м. Также имеется небольшой домик примерно 25 кв.м. Сад действующий имеются насаждения: Яблони, вишни, смородина, малина. Звоните покажу в любое время.













Земельный участок·6,2 сот.·СНТ
Продаётся земельный участок площадью 6,2 сотки в СНТ «Ильмень» Это прекрасная возможность реализовать мечту о собственном доме. Размер участка 30 на 20 Преимущества: Удобное расположение. Участок находится всего в 5 км от города, что обеспечивает лёгкий доступ ко всей городской инфраструктуре. Подъезд к участку. Подъездная дорога выложена щебн


Земельный участок·8 сот.·ИЖС
🌿 Продам участок в Любаже 📍 Удобное расположение: - Угловой участок, обеспечивающий легкий доступ и множество вариантов для планировки. - Удобная локация, прекрасно подходящая для постройки дома вашей мечты. 🏡 Перспективы и возможности: - 8 соток просторной земли 📞 Не упустите возможность! Запишитесь на просмотр сегодня. Обратитесь



Земельный участок·4 сот.·СНТ
Продаётся земельный участок в черте города СНТ «Дружба». Вблизи вся инфраструктура города, магазины, школы, детские сады, автовокзал, остановки общественного транспорта. Можно спокойно дойти как пешком, так и доехать на машине. Данный район активно застраивается под круглогодичное проживание. Есть соседи, которые уже построились. На участке имеется



Земельный участок·8 сот.·ИЖС
Продаётся земельный участок в Стерлитамакском районе, Отрадовский сельсовет, село Мариинский в коттеджном посёлке Любовка. Идеальное место для строительства дома своей мечты. Участок площадью 8 соток предназначен для индивидуального жилищного строительства, межевание сделано. Это даёт возможность реализовать самые смелые архитектурные проекты.






Земельный участок·7,8 сот.·ИЖС
Пpодаётся участок 7,77 cотки в Любовке, ул. Бахтина. Участoк правильной формы (23 х 34 м), poвный, суxoй, дoрoгу чистят кpуглый гoд, oтсыпaнa щебнем, гpязи нeт! Прекpасныe видовыe xарaктеpиcтики, свежий воздуx и тишина. Микрорайон активно застраивается, цены на участки только растут, успейте купить до очередного повышения! Документы готовы к продаж





Земельный участок·6 сот.·СНТ
Продаётся земельный участок в СНТ «Ландыш», всего в 10 минутах от города. Отличное место для строительства своего дома. Рядом расположен магазин Светофор, продуктовый и хозяйственные магазины, автосервис, остановка общественного транспорта. Проезды широкие, подъездные пути чистят. Мы гарантируем безопасную сделку и юридическую поддержку нашим кли





Земельный участок·8 сот.·ЛПХ
Продаётся земельный участок в живописном месте — деревне Ашкадар. От города 15 минут езды. В 5 минутах езды расположен рынок, продуктовые и хозяйственные магазины, аптеки, пункты выдачи, школа. Все нужное и необходимое рядом! На участке есть небольшой садовый домик. Участок ухоженный. Подъездные пути расчищены. Без обременений. Все документы готовы